Résumé
- Mis à jour le :
- 31 octobre 2025
- 6,044.00 m2
- Année de construction :0
Description
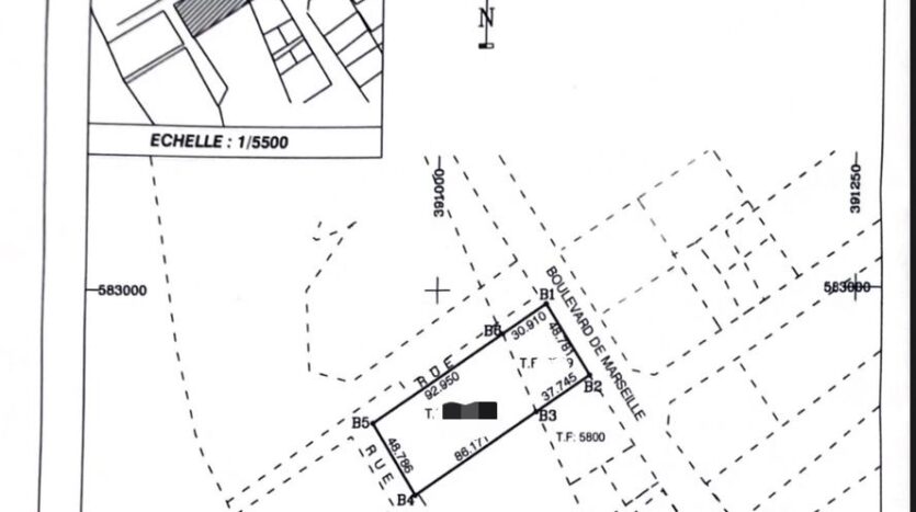
Adresse: Zone 4 Bietry, Boulevard de Marseille face a la pharmacie de Bietry
Ville: Abidjan
Zones: Marcory bietry
Pays: Côte d’Ivoire
Réf. web: 33470
Prix : 1.300.000 FCFA
Surface habitable: 6,044.00 m2
Taille du lot de propriété: 6,044.00 m2
Autres Caractéristiques
A proximité Ecole/Université
En centre-ville
En zone commerciale
mar
28
Avr
mer
29
Avr
jeu
30
Avr
ven
01
Mai
sam
02
Mai
dim
03
Mai
lun
04
Mai
mar
05
Mai
mer
06
Mai
jeu
07
Mai
